Chronicle of Haji Park

Haji Park rera registered project is located at Vadodara, Vadodara. at Vadodara, Vadodara. Haji Park project is being developed by Mr. Imtiyaz Ahmed Yusufbhai Khatri Zulekhaben Wahidbhai Khatri And Others. Rera number of Haji Park project is PR/GJ/VADODARA/VADODARA/Others/PAA08519/270521. As per rera registration Haji Park project is started on date 2021-01-05 and planned to complete on or before date 2025-11-30.
Brochure of Haji Park project is available for download.

Project Summery of Haji Park

Social Media
Rera No

PR/GJ/VADODARA/VADODARA/Others/PAA08519/270521

Unit Details of Haji Park

Type Carpet Area (sqft)
One

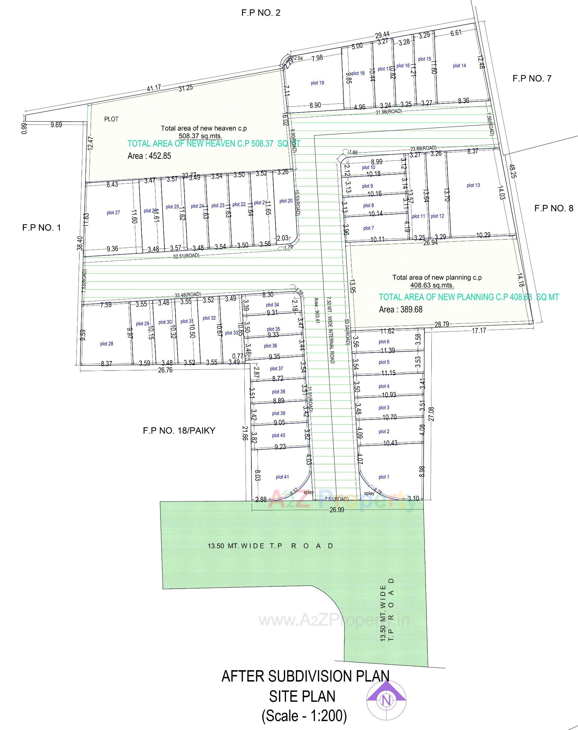
Layout Plan

E-Brochure

Map Location of Haji Park

Project Details

Address

Haji Park

R.s. No. 1/1, 1/2 And 1/3, T.p.s. No. 3, Panigate, Vadodara Kasba, Vadodara

Email

fahim2626@yahoo.com

Share on
Promoters

Mr. Imtiyaz Ahmed Yusufbhai Khatri Zulekhaben Wahidbhai Khatri And Others

Rera No

PR/GJ/VADODARA/VADODARA/Others/PAA08519/270521

Start Date

2021-01-05

End Date

2025-11-30

Area of Project

3,469.62

District

Vadodara

State

Gujarat

Project Type

Plotted Development

Architect

Infinity Design

Disclaimer

The details displayed here are for informational purposes only. Information of real estate projects like details, floor area, location are taken from multiple sources on best effort basis. Nothing shall be deemed to constitute legal advice, marketing, offer, invitation, acquire by any entity. We advice you to visit the RERA website before taking any decision based on the contents displayed on this website.

Projects in Vadodara

Premium projects in Vadodara

Projects in Vadodara