Chronicle of Pride Classic

Pride Classic rera registered project is located at Raiya, Rajkot. at Raiya, Rajkot. Pride Classic project is being developed by Rohit Ravani. Rera number of Pride Classic project is PR/GJ/RAJKOT/RAJKOT/Others/CAA06603/090120. As per rera registration Pride Classic project is started on date 2019-09-27 and planned to complete on or before date 2021-09-30.
Brochure of Pride Classic project is available for download.

Project Summery of Pride Classic

Social Media
Rera No

PR/GJ/RAJKOT/RAJKOT/Others/CAA06603/090120

Unit Details of Pride Classic

Type Carpet Area (sqft)
Pride Classic 114 - 336

3D Elevation

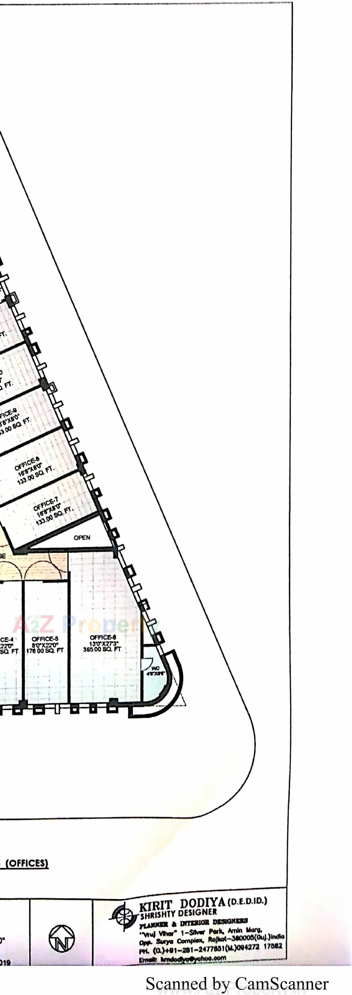
Layout Plan

E-Brochure

Map Location of Pride Classic

Keyplan

Keyplan

Project Details

Address

Pride Classic

Pride Classic, Near Patidar Chowk, Sadhu Vasvani Road

Share on
Promoters

Rohit Ravani

Rera No

PR/GJ/RAJKOT/RAJKOT/Others/CAA06603/090120

Start Date

2019-09-27

End Date

2021-09-30

Area of Project

701

District

Rajkot

State

Gujarat

Project Type

Commercial

Architect

Shrenik M Batavia

Structure

Ashwin Lodhia

Disclaimer

The details displayed here are for informational purposes only. Information of real estate projects like details, floor area, location are taken from multiple sources on best effort basis. Nothing shall be deemed to constitute legal advice, marketing, offer, invitation, acquire by any entity. We advice you to visit the RERA website before taking any decision based on the contents displayed on this website.

Projects in raiya

Projects in Rajkot