Chronicle of Siddheshwari Plotting

Siddheshwari Plotting rera registered project is located at Pethapur, Gandhinagar. at Pethapur, Gandhinagar. Siddheshwari Plotting project is being developed by Shubh Developers. Rera number of Siddheshwari Plotting project is PR/GJ/GANDHINAGAR/GANDHINAGAR/Others/PAA06708/300120. As per rera registration Siddheshwari Plotting project is started on date 2019-08-15 and planned to complete on or before date 2021-03-31.
Siddheshwari Plotting project is providing amenities like RCC Road. Brochure of Siddheshwari Plotting project is available for download.

Project Summery of Siddheshwari Plotting

Social Media
Contact

+91 9924525100

Rera No

PR/GJ/GANDHINAGAR/GANDHINAGAR/Others/PAA06708/300120

Unit Details of Siddheshwari Plotting

Type Carpet Area (sqft)
Siddheshwari Plotting 807 - 2088

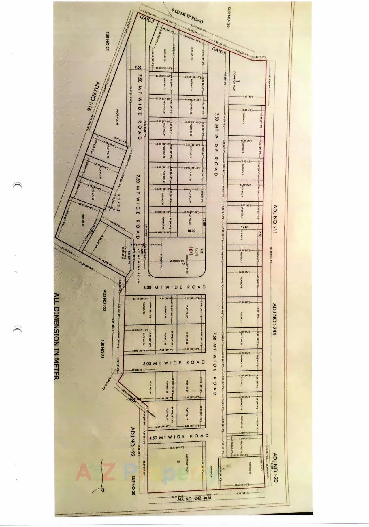
Layout Plan

Amenities of Siddheshwari Plotting

* Actual amenities may vary with displayed information.

RCC Road

E-Brochure

Map Location of Siddheshwari Plotting

Project Details

Address

Siddheshwari Plotting

Survey No 27, Tp 16, Pethapur

Contact

+91 9924525100

Email

siddheshweriplotting2019@gmail.com

Share on
Promoters

Shubh Developers

Rera No

PR/GJ/GANDHINAGAR/GANDHINAGAR/Others/PAA06708/300120

Start Date

2019-08-15

End Date

2021-03-31

Area of Project

8,089

District

Gandhinagar

State

Gujarat

Project Type

Plotted Development

Architect

HEMANT MEHTA

Disclaimer

The details displayed here are for informational purposes only. Information of real estate projects like details, floor area, location are taken from multiple sources on best effort basis. Nothing shall be deemed to constitute legal advice, marketing, offer, invitation, acquire by any entity. We advice you to visit the RERA website before taking any decision based on the contents displayed on this website.

Projects in pethapur

Projects in Gandhinagar