Chronicle of Aatrey Ivaan

Aatrey Ivaan rera registered project is located at Gandhinagar, Gandhinagar. at Gandhinagar, Gandhinagar. Aatrey Ivaan project is being developed by Ashtavinayak Corporation. Rera number of Aatrey Ivaan project is PR/GJ/GANDHINAGAR/GANDHINAGAR/AUDA/RAA06846/A1R/200620. As per rera registration Aatrey Ivaan project is started on date 2020-01-02 and planned to complete on or before date 2025-06-30.
Brochure of Aatrey Ivaan project is available for download.

Project Summery of Aatrey Ivaan

Social Media
Rera No

PR/GJ/GANDHINAGAR/GANDHINAGAR/AUDA/RAA06846/A1R/200620

Unit Details of Aatrey Ivaan

Type Carpet Area (sqft)
A1+A2+B1+B2 427 - 759

Layout Plan

E-Brochure

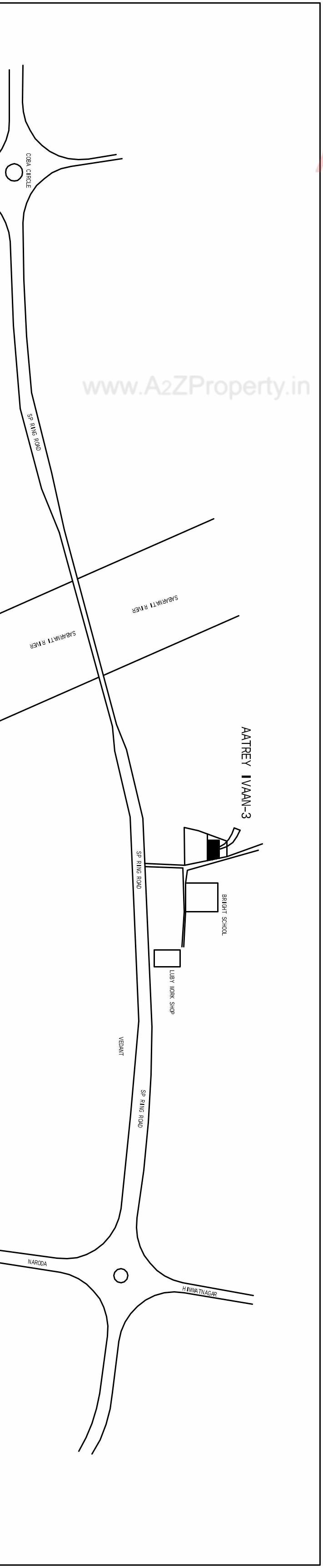
Map Location of Aatrey Ivaan

Keyplan

Keyplan

Project Details

Address

Aatrey Ivaan

Aatrey Ivaan-3 Opp Bright International School, Karai Police Academy Road Nana Chiloda

Email

ashcorpor@gmail.com

Share on
Promoters

Ashtavinayak Corporation

Rera No

PR/GJ/GANDHINAGAR/GANDHINAGAR/AUDA/RAA06846/A1R/200620

Start Date

2020-01-02

End Date

2025-06-30

Area of Project

5,008

District

Gandhinagar

State

Gujarat

Project Type

Residential/Group Housing

Architect

DIVYESH DESAI

Structure

MOHAN B AGRAWAL

Disclaimer

The details displayed here are for informational purposes only. Information of real estate projects like details, floor area, location are taken from multiple sources on best effort basis. Nothing shall be deemed to constitute legal advice, marketing, offer, invitation, acquire by any entity. We advice you to visit the RERA website before taking any decision based on the contents displayed on this website.

Projects in Gandhinagar

Projects in Gandhinagar