Chronicle of 7x Corridor

7x Corridor rera registered project is located at Soneri-mahal, Bharuch. at Soneri-mahal, Bharuch. 7x Corridor project is being developed by Om Developers. Rera number of 7x Corridor project is PR/GJ/BHARUCH/BHARUCH/Others/CAA00747/EX2/101219. As per rera registration 7x Corridor project is started on date 2016-05-15 and planned to complete on or before date 2020-12-30.
7x Corridor project is providing amenities like Gymnasium.

Project Summery of 7x Corridor

Social Media
Rera No

PR/GJ/BHARUCH/BHARUCH/Others/CAA00747/EX2/101219

Unit Details of 7x Corridor

Type Carpet Area (sqft)
om developers 114 - 26959

3D Elevation

Layout Plan

Amenities of 7x Corridor

* Actual amenities may vary with displayed information.

Gymnasium

Current Construction Photos

Map Location of 7x Corridor

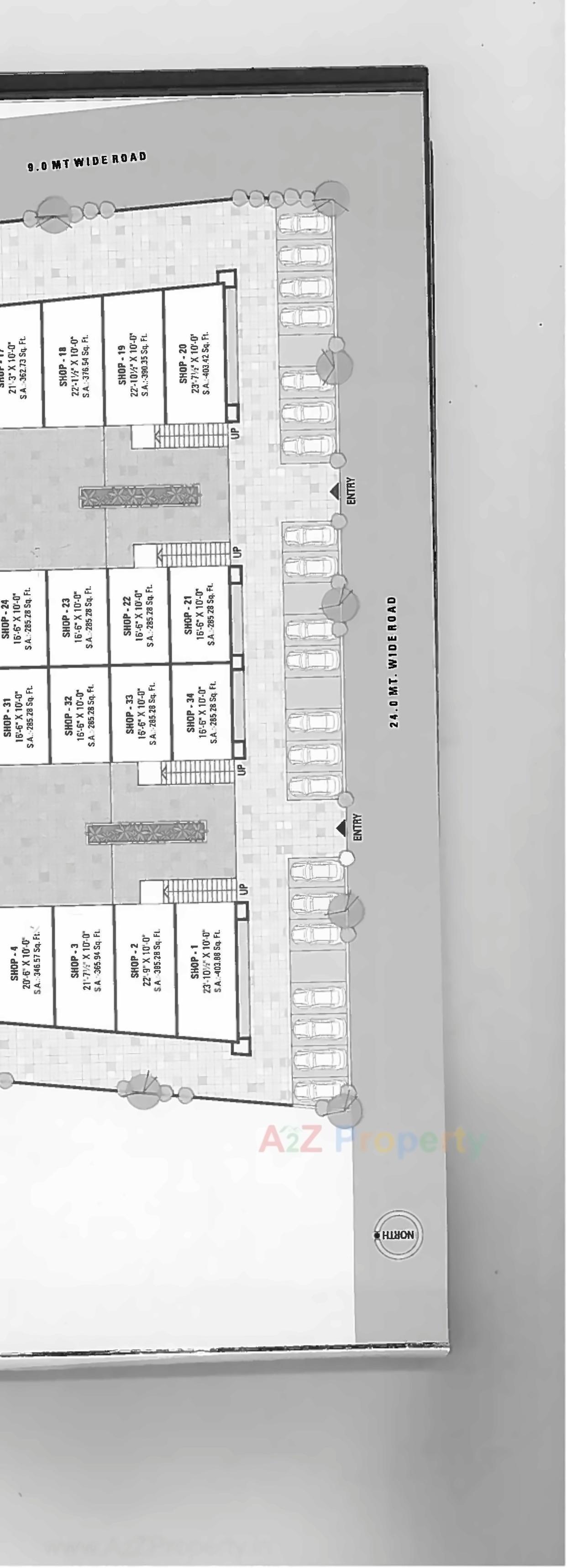
Keyplan

Keyplan

Project Details

Address

7x Corridor

Om Developers, Opp Motilalwin Baug, Soneri Mahel, Bharuch, Sonerimahel, Bharuch

Email

7xgroup2016@gmail.com

Share on
Promoters

Om Developers

Rera No

PR/GJ/BHARUCH/BHARUCH/Others/CAA00747/EX2/101219

Start Date

2016-05-15

End Date

2020-12-30

Area of Project

1,754.48

District

Bharuch

State

Gujarat

Project Type

Commercial

Architect

CHIRAG B SHETA

Structure

Riyaz f Shaikh

Disclaimer

The details displayed here are for informational purposes only. Information of real estate projects like details, floor area, location are taken from multiple sources on best effort basis. Nothing shall be deemed to constitute legal advice, marketing, offer, invitation, acquire by any entity. We advice you to visit the RERA website before taking any decision based on the contents displayed on this website.

Projects in soneri-mahal

Projects in Bharuch