Chronicle of Keshavam Heights

Keshavam Heights rera registered project is located at Anand, Anand. Shops & Flats at Anand, Anand. Keshavam Heights project is being developed by Keshavam Developers. Rera number of Keshavam Heights project is PR/GJ/ANAND/ANAND/Others/MAA03846/261018. As per rera registration Keshavam Heights project is started on date 2018-04-02 and planned to complete on or before date 2022-12-09.
Keshavam Heights project is providing amenities like Gymnasium, Geyser, Water/Heat Proofing. Brochure of Keshavam Heights project is available for download.

Project Summery of Keshavam Heights

Social Media
Rera No

PR/GJ/ANAND/ANAND/Others/MAA03846/261018

Unit Details of Keshavam Heights

Type Carpet Area (sqft)
KESHAVAM HEIGHTS 100 - 513

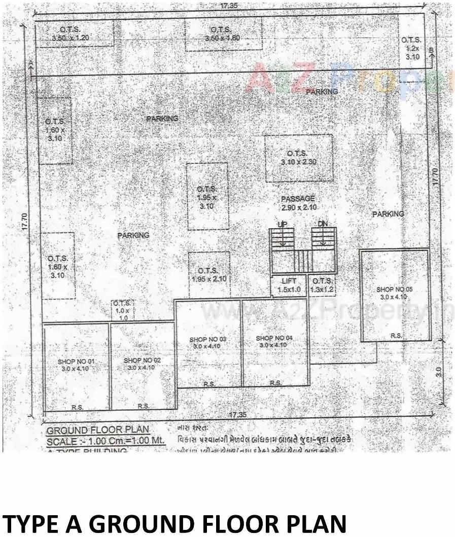
Layout Plan

Amenities of Keshavam Heights

* Actual amenities may vary with displayed information.

Gymnasium

Geyser

Water/Heat Proofing

E-Brochure

Current Construction Photos

Map Location of Keshavam Heights

Project Specifications

Project Specifications

Project Details

Address

Keshavam Heights

Keshavam Heights, B/h Raj Shivalay Cinema

Email

KESHAVAMDEVELOPERS01@GMAIL.COM

Share on
Promoters

Keshavam Developers

Rera No

PR/GJ/ANAND/ANAND/Others/MAA03846/261018

Start Date

2018-04-02

End Date

2022-12-09

Area of Project

1,169

District

Anand

State

Gujarat

Project Type

Mixed Development

Architect

HARSHIT PATEL

Disclaimer

The details displayed here are for informational purposes only. Information of real estate projects like details, floor area, location are taken from multiple sources on best effort basis. Nothing shall be deemed to constitute legal advice, marketing, offer, invitation, acquire by any entity. We advice you to visit the RERA website before taking any decision based on the contents displayed on this website.

Projects in anand

Projects in Anand